Tag: alerta ciclónica

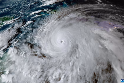
Huracán Melissa, categoría 5, se aproxima a Cuba tras azotar Jamaica

El huracán Melissa, categoría 5, provoca fuertes lluvias, vientos y marejadas en…

quiero saber

Tormenta tropical Erick se fortalece en el Pacífico mexicano

La tormenta tropical Erick avanza hacia Oaxaca y Guerrero con riesgo de…

quiero saber